
オーロラちゃん♥

1回目の交配から55日目
かかりつけの動物病院へ
レントゲン検査



3頭の胎児を確認出来ました(・∀・)
体重は3kgを超え、ごはんもよく食べてくれます。このまま順調にお産を迎えられそうです。
オーロラちゃん&ベビーちゃんの
サポートおばさん頑張ります(๑•̀ㅂ•́)و✧

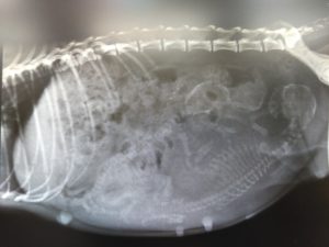
オーロラちゃん♥

1回目の交配から55日目
かかりつけの動物病院へ
レントゲン検査



3頭の胎児を確認出来ました(・∀・)
体重は3kgを超え、ごはんもよく食べてくれます。このまま順調にお産を迎えられそうです。
オーロラちゃん&ベビーちゃんの
サポートおばさん頑張ります(๑•̀ㅂ•́)و✧